Екология
Ураганът „Ирма“ заличи два карибски острова
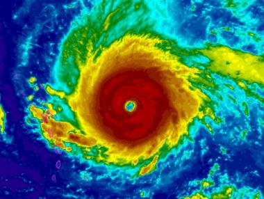
Ураганът Ирма вече вписа в сметката си първите няколко човешки жертви и почти заличи два карибски острова, превръщайки ги непригодни за живеене
Ураганът Ирма вече вписа в сметката си първите няколко човешки жертви и почти заличи два карибски острова, превръщайки ги непригодни за живеене
Жп линиите и пристанищата са основен инструмент в новата инициатива
След четвърт век преход към пазарна икономика и демокрация стихнахме до пълно обезличаване и немощ на българската икономика